タックルベリー
2026.02.18
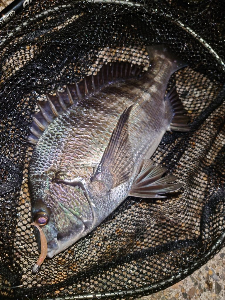
マイクロベイト絡みにはジグ単!
どうも!タックルベリー富山店のスタッフ岡本です!
稀にしかブログで登場しないレアキャラです!
富山県内でもホタルイカの声が聞こえてきて、どうやら富山たかおか店のマルチゲーマー渋谷さんもヘタッピー稲垣さんと東部へ出向いているようで。エサ釣りでボウズを喰らったフリキリマン酒井氏も今後東部へ通ってくれるでしょう!エサ釣りでボウズですよ?エサを使って1日海にいてボウズですよ?ぜひ店頭にてイジってあげてください。
そんな中、わたくし岡本も海へ出向いています!








ホタルイカルアーももちろんですが、この時期(2月中旬~5月にかけて)特にキーワードになるのが【マイクロベイト】です。
面倒なことが大嫌い岡本はジグ単オンリーでメバル、クロダイ、シーバスと戯れてます♪
そう!難しいことは考えずに投げて巻くだけ!やる気のあるやつ、出てこいやぁ!と高田延彦ばりの掛け声で投げるのがキモです!←
スタッフのおすすめワーム、ジグヘッド等、店頭にてお気軽にお声がけください!
以上、レアキャラ岡本でした~
富山店(Toyama)の新着記事
-
2026/04/16
明日開幕、GWセール!今年は中古割引も!!
-
2026/04/14
GWセール告知!今年は中古割引も!
-
2026/04/13
メバルルアー新製品入荷!
-
2026/03/30
ビギナーズラック!?
-
2026/03/29
中古ロッド大量入荷!!
-
2026/03/25
本日、TBデイ!!!
月別バックナンバー
-
2025年12月(20)
-
2025年11月(17)
-
2025年10月(20)
-
2025年9月(21)
-
2025年8月(13)
-
2025年7月(21)
-
2025年6月(16)
-
2025年5月(9)
-
2025年4月(4)
-
2025年3月(5)
-
2025年2月(5)
-
2025年1月(6)
-
2024年12月(18)
-
2024年11月(10)
-
2024年10月(5)
-
2024年9月(10)
-
2024年8月(10)
-
2024年7月(11)
-
2024年6月(6)
-
2024年4月(1)
-
2024年3月(3)
-
2024年2月(3)
-
2024年1月(3)
-
2023年12月(5)
-
2023年11月(7)
-
2023年10月(2)
-
2023年9月(1)
-
2023年8月(1)
-
2023年7月(2)
-
2023年6月(4)
-
2023年5月(3)
-
2023年3月(2)
-
2023年2月(3)
-
2023年1月(2)
-
2021年12月(1)
-
2021年11月(1)
-
2021年10月(1)
-
2021年9月(2)
-
2021年6月(1)
-
2021年5月(3)
-
2021年4月(4)
-
2021年3月(7)
-
2021年2月(11)
-
2021年1月(10)




